In Breve
martedì 10 marzo
lunedì 09 marzo
Che tempo fa
Rubriche
Accadeva un anno fa
Attualità
Attualità
Cronaca | 13 agosto 2023, 07:13
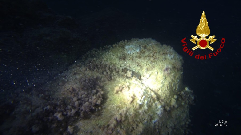
Ordigno bellico in mare a Nervi: sul posto capitaneria e vigili del fuoco
L'area è stata delimitata e si sta procedendo con le operazioni di messa in sicurezza. Interdetta la balneazione
Questo contenuto è riservato agli abbonati
Non sei ancora abbonato? Clicca qui




















